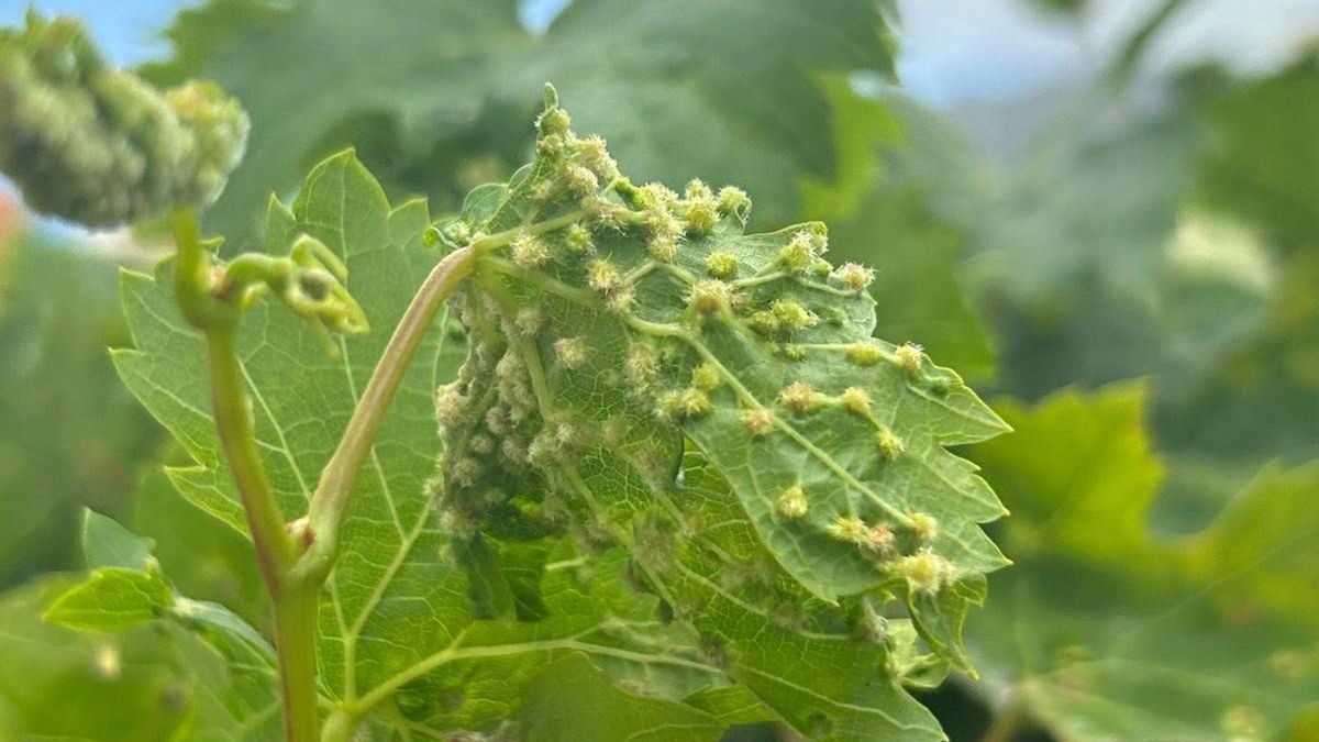
Filoksera, najbardziej przerażający szkodnik w uprawie winorośli, zwłaszcza w produkcji wina, nadal przynosi złe wieści dla sektora win jakościowych na Teneryfie. Po potwierdzonych ogniskach tego poważnego problemu fitosanitarnego w La Laguna, Tacoronte i La Matanza, a następnie w dolinie Orotava, szkodnik prawdopodobnie dotarł również do Candelarii.
Nowe ognisko w Candelarii
W piątek 17 października Ministerstwo Rolnictwa, Hodowli, Rybołówstwa i Suwerenności Żywnościowej Rządu Wysp Kanaryjskich poinformowało o możliwości wystąpienia infekcji również w gminie Candelaria. Potwierdziłoby to nowy skok szkodnika, tym razem z północnego zbocza wyspy na południe, podobnie jak wcześniej miało to miejsce z rejonu Tacoronte-Acentejo do doliny Orotava.
Ewolucja tego kryzysu nie wygląda obiecująco. Bardzo prawdopodobne jest, że wkrótce do czarnej listy dołączy również dolina Güímar. Rząd regionalny właśnie przyznał, że istnieją podejrzenia nowych przypadków w gospodarstwie położonym w gminie Candelaria. W związku z tym próbki roślin wykazujących objawy zgodne z filokserą zostały wysłane do oficjalnego laboratorium referencyjnego Ministerstwa Rolnictwa w Madrycie.
Działania zapobiegawcze już trwają
Departament Zdrowia Roślin Ministerstwa Rolnictwa wysłał próbki w tym tygodniu do Krajowego Laboratorium Referencyjnego w celu potwierdzenia, że objawy wykryte w gospodarstwie są zgodne z obecnością filoksery. Pomimo braku oficjalnej opinii laboratorium, regionalne ministerstwo wyjaśnia, że jako środek zapobiegawczy personel techniczny Dyrekcji Generalnej ds. Rolnictwa oraz spółki publicznej Gestión del Medio Rural de Canarias (GMR Canarias) przystąpił już do stosowania odpowiednich zabiegów fitosanitarnych.
Zgodnie z procedurą ustanowioną przez rząd Wysp Kanaryjskich w zarządzeniu z 20 sierpnia 2025 roku, które uznało walkę z tym owadem za działanie użyteczności publicznej, wszystkie winorośle na podejrzanej działce zostaną wyrwane z korzeniami i wyeliminowane poprzez kontrolowane spalenie. Jest bardzo prawdopodobne, że to nowe ognisko infekcji zostanie potwierdzone.
Zakres badań i dotychczasowe wyniki
Po wyznaczeniu obwodu bezpieczeństwa o promieniu 500 metrów i przeprowadzeniu badań na tym obszarze, żadna z roślin nie wykazała do tej pory oznak infekcji filokserą. Wraz z tym nowym przypadkiem, oczekującym na potwierdzenie i po raz pierwszy w regionie na południu wyspy, bilans 5190 badań przeprowadzonych do tej pory w gminach na Teneryfie przedstawia się następująco: 5110 lokalizacji wolnych od filoksery (98,5 procent), podczas gdy wykryto 80 ognisk szkodnika (1,5 procent).
Wszystkie potwierdzone ogniska, w oczekiwaniu na wynik badań z Candelarii, znajdują się na razie na północnych zboczach wyspy. Większość z nich koncentruje się w gminach La Laguna i Tacoronte, do których dołączyły La Matanza i La Orotava. Teneryfa jest jedyną wyspą archipelagu, na której wykryto obecność filoksery.
Chronologia wydarzeń i reakcja władz
Ministerstwo podkreśla w komunikacie prasowym, że gdy tylko Służba Rolna Cabildo Teneryfy poinformowała o wykryciu możliwych objawów filoksery w gospodarstwie w gminie Candelaria rano 13 października, regionalny organ wykonawczy zaalarmował tego samego popołudnia radę regulacyjną ChNP Valle de Güímar. Uwzględniono możliwą obecność szkodnika na tym obszarze geograficznym, który objęty jest chronioną nazwą pochodzenia.
Podejrzana prywatna farma nie ma żadnych powiązań z chronioną nazwą pochodzenia Wysp Kanaryjskich. Jednocześnie Rada Miasta Candelaria została poinformowana o nowej sytuacji, aby przyczynić się do rozpowszechnienia procedur kontroli i zwalczania filoksery. Władze miejskie zwołały już spotkanie z lokalnym i regionalnym sektorem winiarskim w miejskiej sali plenarnej na wtorek 21 października, w którym wezmą również udział przedstawiciele rządu Wysp Kanaryjskich i Cabildo Teneryfy.
Żarłoczna plaga i jej konsekwencje
Istnienie i żarłoczność plagi filoksery w innych regionach Półwyspu Iberyjskiego, zwłaszcza pod koniec XIX wieku, wymusiła zastąpienie winorośli w zarażonych posiadłościach innymi odpornymi odmianami. Proces ten wymagał ogromnych inwestycji i polegał na zastosowaniu tak zwanych podkładek amerykańskich – roślin Vitis vinifera szczepionych na amerykańskich korzeniach odpornych na filokserę.
Ta transformacja kosztuje bardzo dużo pieniędzy. Według rad regulacyjnych ChNP Wysp Kanaryjskich, odnowienie jednego hektara winnicy to koszt około 30 tysięcy euro. Obecnie w pozostałej części Hiszpanii, ale jak dotąd nie na Wyspach Kanaryjskich, 99 procent winnic jest szczepionych. Zaczynając od amerykańskiej podkładki, uzyskuje się część korzeniową rośliny, podczas gdy część nadziemna to Vitis vinifera odpowiedniej odmiany.
Zagrożenie dla unikalnych odmian kanaryjskich
Winorośle szczepione na amerykańskiej podkładce są odporne na filokserę, co oznacza, że główny problem spadnie na rodzime odmiany. To właśnie one dały największy wzrost jakości wina na wyspie, zarówno tutaj, jak i poza archipelagiem. Do tej pory Wyspy Kanaryjskie były jedynym terytorium w Hiszpanii i Europie wolnym od filoksery.
Teraz jednak Teneryfa położyła kres tej wyjątkowości, która była sprzedawana na prawie wszystkich etykietach win gatunkowych z Teneryfy i Wysp Kanaryjskich, zarówno z chronioną nazwą pochodzenia, jak i bez niej. Utrata statusu regionu wolnego od filoksery może mieć poważne konsekwencje nie tylko dla producentów wina, ale także dla wizerunku kanaryjskich win na rynkach międzynarodowych.

